桑芽,见过吗?清热明目 主治肝热目赤,昏花
桑芽,见过吗?清热明目 主治肝热目赤,昏花

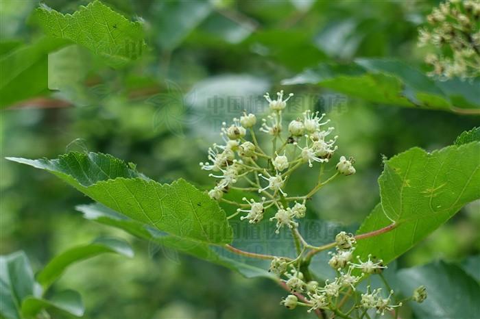
桑芽
来源产地
为槭树科植物茶条槭嫩叶。
3月采收嫩叶,置锅中,微火炒焙粉分钟,取出用手揉搓至均匀后,晒干。
生于低海拔的向阳山坡疏林中。
分布于华东及河南、湖北、华北、东北及陕西甘肃、河南等地。
别名女儿红、青桑头、桑条、青桑、桑芽茶、鸡骨枫、苦津茶、银桑叶、茶条牙、茶条子、麻良子、茶条木、茶条树

【原形态】
茶条槭,又名:茶条。
落叶灌木或小乔木,高约5~6米。树皮灰色,粗糙。小枝细,绿色或紫绿色。
单叶,纸质,卵形,长6~10厘米,宽4~6厘米,常羽状3~5裂,先端渐尖,基部圆形或近心形;
边缘具不整齐疏锯齿;叶脉及脉腋有柔毛。
伞房花序顶生;花杂性;萼片5,边缘有长柔毛;花瓣5,白色;雄蕊8,着生于花盘内部;子房密生长柔毛,花柱无毛,柱头2裂。翅果长2.5~3厘米;
小坚果嫩时有长柔毛;两翅直立,成锐角。花期5~6月。果熟期10月。

苦茶槭
落叶灌木或小乔木,高5-6m。树皮粗糙,灰色、稀深灰色或灰褐色;小枝细瘦,当年生枝绿色或紫绿色,多年生枝淡黄色或黄褐色,皮孔椭圆形或近于圆形,淡白色。单叶对生;
叶柄长4-5cm,绿色或紫绿色,无毛;叶片薄纸质,卵形或椭圆状卵形,长5-8cm,宽2.5-5cm,不分裂或不明显3-5裂,边缘有不规则的锐尖重锯齿,下面具白色疏柔毛。伞房花序长达3cm,有白色疏柔毛,花杂性,雄花与两性花同株;萼片5,黄绿色;
花瓣5,白色,较长于萼片;雄蕊8,花药黄色,着生于花盘内侧;子房有疏柔毛(在雄花中不发育);花柱先端2裂,柱头平展或反卷。果实黄绿色或黄褐色;
小坚果脉纹显着,翅果长2.5-3.5cm,张开近于直立或成锐角。花期4-5月,果期5-9月。
性味功效
《全国中草药汇编》
苦,寒
清热明目。主治肝热目赤,昏花。
《中药大辞典》
代茶饮,退热明目。
《中华本草》
微苦;微甘;寒。
清肝明目。主风热头痛;肝热止赤;视物昏花
【归经】
肝经
【用法用量】

内服:煎汤,10-15g;或开水冲泡化茶饮。
-
- 七月你好祝福走心文案带图片
-
2025-04-13 21:26:46
-
- 哪些宝物可称为“传家宝”?在这个有趣的传家节上,找到答案
-
2025-04-13 21:24:31
-
- 核桃树的嫁接方法
-
2025-04-11 17:10:25
-
- 王宝强晒新旧全家福 网友:妈妈的基因太强大了
-
2025-04-11 17:08:11
-
- 佟大为关悦女儿可爱萌照曝光皮肤白嫩,打脸关悦整容
-
2025-04-11 17:05:56
-
- 太原北张村、南堰城中村改造方案公示啦 要建幼儿园、小学等
-
2025-04-11 17:03:42
-
- 韩剧《Untouchable》公开金成均、晋久双人画报兄弟战争一触即发
-
2025-04-11 17:01:27
-
- 碧蓝航线罗德尼怎么样 罗德尼技能属性图鉴
-
2025-04-11 16:59:12
-
- 突发!四川地震!
-
2025-04-11 16:56:58
-
- 天晴了雨停了,你又觉得你行了!
-
2025-04-11 16:54:43
-
- 厦门航空:涉及武汉航班机票可免费办理退改
-
2025-04-11 16:52:29
-
- 刚刚!蒙城县教育局发布!
-
2025-04-11 16:50:14
-
- 怎么做到心如止水?
-
2025-04-11 05:16:55
-
- 王源出演的6部电视剧,看过5部的粉丝是真爱,第6部谁都没看过!
-
2025-04-11 05:14:41
-
- 天天酷跑黄金奖池抽完要多少奖卷?第十期所需奖券数量
-
2025-04-11 05:12:26
-
- 闪耀暖暖人物档案
-
2025-04-11 05:10:11
-
- 赵丽颖从小到大图:赵丽颖小学毕业照你找得出来吗?
-
2025-04-11 05:07:57
-
- 开票的纳税人,看过来!开票软件如何增加商品编码?
-
2025-04-11 05:05:42
-
- AGEBOY推出男男真人秀网综《少年在一起》
-
2025-04-11 05:03:27
-
- 「龙腾网」越南网友:中国和美国之旅游差异
-
2025-04-11 05:01:13



开封犹太人在中国17个姓氏,实际上只有七姓八家,现存6姓
河北区划调整猜想:撤销邢台市,整体并入邯郸市