农村随处可见的拉拉秧,曾经遭人嫌,现在很多人把它当成宝
农村随处可见的拉拉秧,曾经遭人嫌,现在很多人把它当成宝
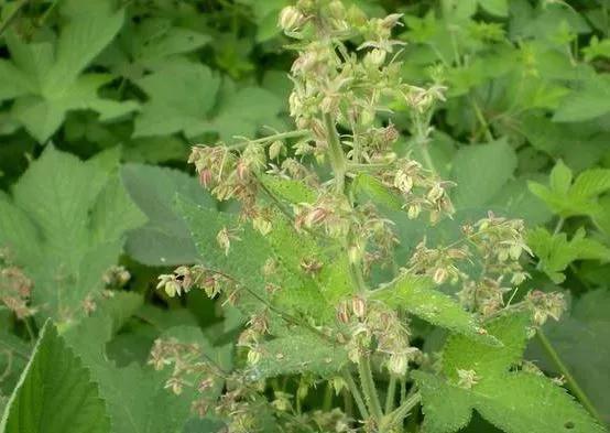
拉拉秧学名葎草,属桑科、是多年生攀缘草本植物,别名很多,有的地方叫狗蛋草、箩箩藤;还有的地方称之为“血见愁”或五爪龙,它的生命力非常顽强,在水沟边、荒地、以及农田里都能生长,是一种繁衍性极强的杂草,很多农民都视它为敌,一度遭人嫌弃。
拉拉秧的危害性的确存在,主要有两个方面的原因。
其一,是对土地的危害。玩强的生命力致使它在不同的环境中都能生长,而且蔓延起来非常迅速,一旦窜入农田,将和庄稼争抢养分,使得土地肥力下降,影响农作物的正常生长。
拉拉秧是一种藤蔓攀援植物,它的疯狂生长祸害了不少良田,原本可以耕作的土地,由于各种原因弃荒了,只要拉拉秧侵入其中,就非常难于根除了,即便使用除草剂也不理想,任其生长,良田将变成荆棘遍野的荒地。

其二,拉拉秧遍身长满倒钩刺,让人不敢轻易触碰它,有的时候人们在田边地头行走,一不小心就会被这些刺挂伤,不但衣服撕了个口,皮肤上还留下一道伤痕,让人既疼又痒,这就使得人们对拉拉秧产生了畏惧,怨恨的念头油然而生。
拉拉秧的藤蔓还会和农作物缠绕在一起,使其难以分离,从而导致植株生长受限或枯萎,如果是矮一点农作物,由于拉拉秧的迅速生长会被封闭在阴暗的空间内,让它见不到阳光,最终造成作物减产或绝收,这也是拉拉秧让人讨厌的原因所在。

拉拉秧旺盛的生命力,以及它身上的倒钩刺着实使人头疼,所以很多人对它敬而远之,但是拉拉秧并非一无是处,它身上还有很多鲜为人知的优点,正因为如此,越来越多的人把它当成了宝。
一、拉拉秧可以用作青饲料
拉拉秧鲜嫩、肥硕的叶片是非常好的青饲料,猪、羊、鸡、兔都很喜欢吃,大家都知道饲养牲畜都离不开草料,为了满足它们对青饲料的需求,一般都会使用自家的土地种植牧草,而且还需要花时间管理,但是把拉拉秧当作青饲料既不浪费土地,也不必在牧草管理上浪费时间,因为拉拉秧能在极其恶劣的环境下生长,随处都能采收得到。
随着人们对物质的需求增加,养殖规模的不断扩大,青饲料的供应链也逐渐攀升起来,拉拉秧作为青饲料正在被越来越的人所青睐,一些养殖户不但采收它的叶片,连拉拉秧的藤蔓也不放过,因为经过粉碎的藤蔓也是非常具有营养,牲畜都特别爱吃。可见用作青饲料的拉拉秧,全身都可以利用。

二、拉拉秧还是一味中药材
在民间很多人都把拉拉秧当做一味中药材,它有清热解毒、利尿消肿、消炎止痢等功效,小时候有一件事情让我历历在目,当时由于物质比较匮乏,家里面时常买猪板油回家炼油,油渣就成为我们小孩子的零食,吃完油渣再喝一大杯生水,过不了多久就得往茅厕跑,实在是太遭罪了,爷爷知道我拉肚子,就到村长附近的田野里采一些拉拉秧回家熬水,然后让我趁热喝下,一连喝几次就逐渐有效果了。
拉拉秧作为一种中药材,它还有止痒的效果,夏天蚊虫十分猖狂,一旦被它们叮咬,身上就会长出一个红疙瘩,奇痒无比,让人寝食难安,这个时候大家首先想到的就是使用各种止痒药物,而拉拉秧叶片的汁液就有止痒的功效,并且不花一分钱,使用的时候先到野外采摘一些拉拉秧的新鲜叶片,尽量选择老一点的叶子,这样药效更佳,然后用手搓揉,流淌出来的汁液就可以直接涂抹在蚊虫叮咬处,反复使用几次,红疙瘩就会慢慢散去。

三、拉拉秧有着很高的经济价值
拉拉秧由于生命力顽强,广泛的分布在我国的大江南北,资源富饶,这种生生不息的植物有着很高的经济价值,一旦开发利用起来,市场前景将是一片光明,总结起来主要有以下四点。
其一、拉拉秧的茎皮比较有韧性,分离出来可以当剑麻使用,我们可以把它加工后用来制成绳子,各种打包带,最广泛的用途还是用来造纸,因为它的性质和剑麻相似,完全可以在造纸行业有一席之地。
其二、种子经过深加工可以制成各种工业用油和洗涤用品,大家时常都在用的肥皂,就可以用拉拉秧的种子加工制成。
其三、拉拉秧的果穗可以代替啤酒花酿造啤酒,啤酒花属桑科、攀援草本植物,性质和拉拉秧及其相似,一直以来为了满足市场需求,都以人工种植为主,而拉拉秧是纯天然植物,它的果穗当然可以代替啤酒花抢占一部分市场。
其四、花粉为蜜蜂酿蜜提供了丰富资源,拉拉秧对于农民来说怨恨的情绪可能要多一些,但是对于养蜜蜂人来说更多的是感激之情,因为拉拉秧的花粉给蜜蜂酿蜜开创了环境,尤其在立秋以后植物大多都逐渐凋零,而拉拉秧依然盎然生机,为蜜蜂提供着源源不断的食源。

总结
任何事物都有它的两面性,我们要客观的来看待,在一些农民眼中拉拉秧可能只是有百害而无一利的害草,对它是苦不堪言,而一些被拉拉秧倒钩刺扎伤过的人群中,有部分人还会留下阴影,不敢靠近它,怨恨的情绪久久不能平息。
但是我们更应该知道拉拉秧的优点,它富含养分的茎叶,可以当做青饲料,能够节省养殖成本;拉拉秧还是一味中药,对拉肚子、止痒等病痛有一定的功效,而且不花一分钱;拉拉秧还有很高的经济价值,因为它顽强的生命力,天然资源非常丰富,一旦被开发利用,将会给我们带来无穷的发展机会。
-
- 李孝利复出,坦荡荡的青春和令人艳羡的婚姻,当然还有保持完美的身材
-
2025-02-15 06:51:52
-
- 伊朗人到底有多亲美你知道吗?
-
2025-02-15 06:49:37
-
- 毒品的七大姑八大姨
-
2025-02-15 06:47:22
-
- 蓝色的精灵!被称为"上帝之鸟",美丽的蓝色知更鸟赏析
-
2025-02-15 06:45:07
-
- 封神演义中,纣王对别的大臣说杀就杀,可为何唯独害怕闻太师?
-
2025-02-15 06:42:53
-
- 中苏关系为何会逐步走向恶化?
-
2025-02-14 08:54:05
-
- 这10本禁书,别说你没看过!
-
2025-02-14 08:51:50
-
- 魅丽校园行之-神木职业技术学院
-
2025-02-14 08:49:35
-
- 男装|各种男士大衣的款式与版图
-
2025-02-14 08:47:21
-
- 东莞共享汽车众泰E200体验|颠覆思维的出行新方式
-
2025-02-14 08:45:06
-
- 十二生肖遇上诗词,绝妙,看看你属于哪一首?
-
2025-02-14 08:42:51
-
- 什么是顶 真的修辞手法?以形式表现内涵,古人运用得恰到好处
-
2025-02-14 08:40:36
-
- 5本末日丧尸流小说,丧尸爆发,他该怎么样才能活下去呢?
-
2025-02-14 08:38:21
-
- 青岛灭门案:16岁女中学生全身赤裸暴死,父母弟弟全部横死出租屋
-
2025-02-14 08:36:06
-
- 女性私处滴一点风油精会怎样?真有好处?医生:有多少人尝试过?
-
2025-02-14 08:33:51
-
- 诺基亚第一款N系列手机,当年的旗舰级机皇手机
-
2025-02-11 15:47:53
-
- 含有哲理的诗句:年年岁岁花相似,岁岁年年人不同
-
2025-02-11 15:45:38
-
- 血府逐瘀丸这样搭配,不仅可以活血化瘀,还能治疗这5种病
-
2025-02-11 15:43:23
-
- 仙宾礁:菲方曾破坏岛上设施,现已收回!若能开发将成海上明珠
-
2025-02-11 15:41:09
-
- 文山有个地方叫普者黑 高铁不进州府却在这里设站
-
2025-02-11 15:38:54



开封犹太人在中国17个姓氏,实际上只有七姓八家,现存6姓
河北区划调整猜想:撤销邢台市,整体并入邯郸市